2月17日(火) 鯛サビキ
本日はお一人様と鯛サビキにて出船しました。
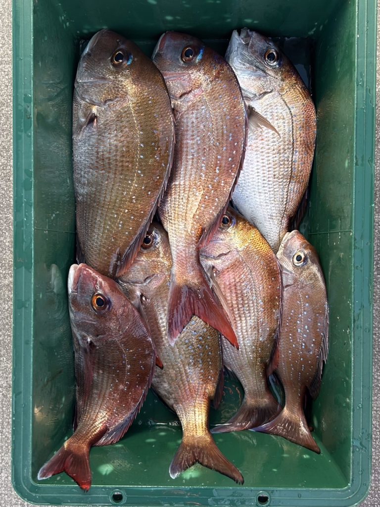
朝は潮が速く反応が無くダメで潮が緩んで来ると反応が良くなりポロポロと釣れだしました。
後半は潮が返して移動してまたポロポロと釣れて少し早めに終了しました。
今日も反応は抜群でアタリもそこそこ有りましたがショートバイト多発で思ったより釣れませんでした。


本日は厳しい中、ご乗船ありがとうございました。
またのご乗船をお待ちしています。
シー・エスポワールでは1回ご乗船毎にポイントカードにスタンプを1個捺印させていただきます。
スタンプを10個集めていただいたお客様に無料乗船券をプレゼントさせて頂きます。p
ご予約・問合せ
シー・エスポワール 080-5311-7502 (冨永)
● シー・エスポワール LINE公式アカウント
アカウント
⬇︎⬇︎⬇︎⬇︎⬇︎⬇︎⬇︎⬇︎⬇︎⬇︎

友だち登録お願い致します。
登録するとLINEからも予約が可能です。

