2月6日(金) 鯛ラバ

本日もお一人様と鯛ラバ1本勝負で出船しました。

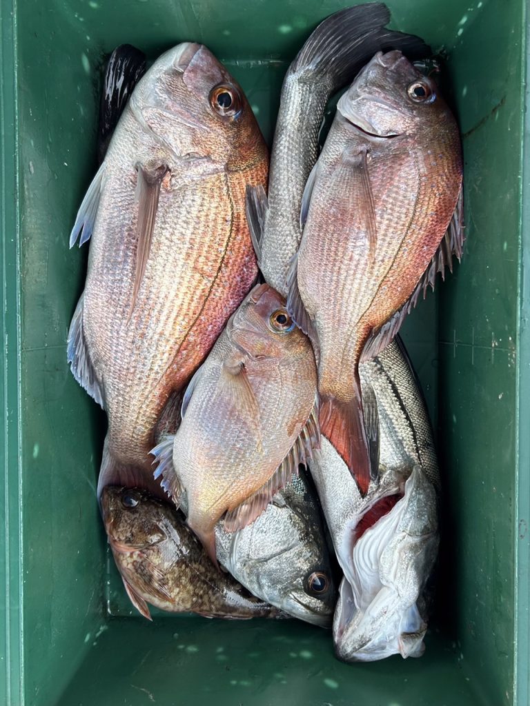
朝の潮変わりの時合に鯛をポツポツと釣れてその後はサッパリ

シーバスは元気ですがなるべくシーバスを避けて鯛に狙いを定めてあっちこっちウロウロと

しますが追尾はあるもののすぐにUターンやショートバイトのみ等でダメダメで昼からの潮の

変わり目で何とか2枚追加して終了しました。

真冬の厳しい鯛ラバ 何とか4枚獲れて良かったです。

小鯛と食べないシーバスはリリースありがとうございました。

本日は厳しい中、ご乗船ありがとうございました。

またのご乗船をお待ちしています。

シー・エスポワールでは1回ご乗船毎にポイントカードにスタンプを1個捺印させていただきます。

スタンプを10個集めていただいたお客様に無料乗船券をプレゼントさせて頂きます。p

ご予約・問合せ 

シー・エスポワール  080-5311-7502 (冨永)

● シー・エスポワール LINE公式アカウント

アカウント

    ⬇︎⬇︎⬇︎⬇︎⬇︎⬇︎⬇︎⬇︎⬇︎⬇︎

 友だち登録お願い致します。

 登録するとLINEからも予約が可能です

コメントを残す